ติดต่อ : คุณมิว 088-932-2464
office : 02-049-5049
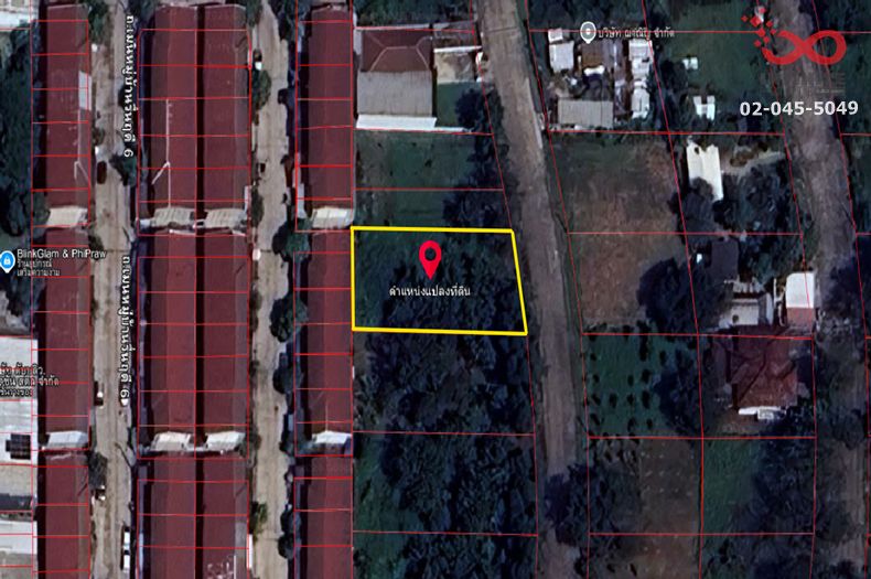
ที่ตั้ง : ถนนหทัยราษฎร์ แขวงบางชัน เขตมีนบุรี กรุงเทพมหานคร 10510
พื้นที่ : 164 ตารางวา
กว้าง-ยาว : กว้าง 18 เมตร ลึก 37 เมตร โดยประมาณ
รีวิว : ที่ดินแปลงสวยในโครงการฟอเรสปาร์ค หทัยราษฎร์ บรรยากาศร่มรื่น เป็นส่วนตัว หน้ากว้าง เหมาะสำหรับปลูกสร้างบ้านพักอาศัย หรือพัฒนาเป็นโฮมโปรเจกต์ขนาดเล็ก ตั้งอยู่ในทำเลศักยภาพ โซนที่กำลังเติบโต
ทรัพย์สินหันหน้าทิศ : ตะวันออก
สถานที่ใกล้เคียง :
สถานที่ช้อปปิ้งและไลฟ์สไตล์
- บิ๊กซี หทัยราษฎร์
- โลตัสมีนบุรี
- ตลาดหทัยมิตร
- ซาฟารีเวิลด์
สถานศึกษา
- โรงเรียนเศรษฐบุตรบำเพ็ญ
- โรงเรียนสารสาสน์วิเทศมีนบุรี
โรงพยาบาล
- โรงพยาบาลนวมินทร์ 9
- โรงพยาบาลเสรีรักษ์
- โรงพยาบาลสินแพทย์ รามอินทรา
การเดินทาง
- รถไฟฟ้า BTS สายสีชมพู
- ทางด่วนมอเตอร์เวย์
- สนามบินสุวรรณภูมิ





