ขายที่ดินพร้อมอาคารและโกดัง 6-2-8ไร่รวมโอน
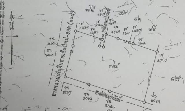
ติด ถ.เชียงใหม่-ฮอด ต.มะขุนหวาน อ.สันป่าตอง เชียงใหม่
พื้นที 6-2-8 ไร่ ประมาณ กว้าง 75 เมตร ลึก 130 เมตร
เอกสารโฉนดครุฑแดง 1 แปลง ไม่ติดภาระ พร้อมโอน
พร้อมสิ่งปลูกสร้าง เป็นอาคาร 1 หลัง โกดัง 3 หลัง
ที่ดินติดถนนทางหลวงแผ่นดินสาย 108 เชียงใหม่-ฮอด ขาออกเชียงใหม่
ถ.เชียงใหม่-ฮอด ต.มะขุนหวาน อ.สันป่าตอง เชียงใหม่
อยู่เยื้องตรงข้าม สำนักงานเทศบาลตำบลบ้านกลาง สันป่าตอง 260 ม.
ใกล้ ตลาดทุ่งเสี้ยว สันป่าตอง 1.7 กม.
ใกล้ ที่ว่าการ อ.สันป่าตอง 6.4 กม.
ใกล้ ที่ว่าการ อ.หางดง 13 กม.
ใกล้ สนามบินเชียงใหม่ 26 กม.














