List No.95277
รายละเอียดทรัพย์
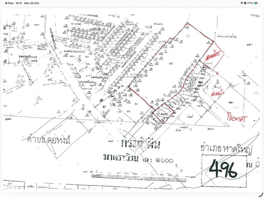
- ที่ดินถมแล้ว 2 แปลงติดกัน ขนาด 2 ไร่ 2 งาน 85 ตารางวา
- (กว้าง 100 X ลึก 41 เมตร) และ 73.1 ตารางวา (กว้าง 17 X ลึก 16 เมตร) รวม 2 ไร่ 3 งาน 58.1 ตารางวา 1,158.1
- ถนนซอยกว้าง 6 เมตร (ท้ายซอยมีคอนโดเก่าอยู่)
- ผังเมือง พาณิชยกรรมและที่อยู่อาศัยหนาแน่นมาก
- เหมาะสำหรับนักลงทุนที่ต้องการนำมาพัฒนาเป็น คอนโดมิเนียม ทาวน์เฮาส์ โฮมสเตย์ (ซึ่งปัจจุบันยังมีความต้องการสูงในจังหวัดสงขลา)
จุดเด่น
- ตั้งอยู่ในทำเลใจกลางอำเภอหาดใหญ่ ห่างจากมหาวิทยาลัยสงขลานครินทร์เพียง 700 เมตร
ที่ตั้ง ซอยทวดดำอุทิศ ถนนทุ่งรี ต.คอหงส์ อ.หาดใหญ่ จ.สงขลา
พิกัด 6.99862672,100.50229486 และ 6.99815538,100.50223655
ติดต่อ Estate corner Agency
โทร. 📞097-918-4244
Line Id @estatecorner
E-mail [email protected]
Estate corner Agency รับฝาก ซื้อ-ขาย อสังหาริมทรัพย์ทุกประเภท ฟรีค่าโฆษณายินดีจัดหาสินเชื่อให้ฟรี
EstateCornerAgency.com



















